Dni Zduńskiej Woli 2023. Zmiany w organizacji ruchu
Kierowcy muszą liczyć się z utrudnieniami w ruchu, w związku z koncertami jakie będą organizowane w ramach tegorocznych Dni Zduńskiej Woli. Zamknięte będą częściowo ulice w sobotę i niedzielę, 17-18 czerwca.
W sobotę, 17 czerwca, zamknięta będzie ulica prof. Tadeusza Kobusiewicza na odcinku od ul. Piwnej do ronda Bronisława Jackowskiego oraz ulica Podmiejska do przepustu nad rzeką Pichną. Ograniczenia w ruchu samochodów będą obowiązywały od godz. 15:00 do godz. 2:00 w niedzielę, 18 czerwca.
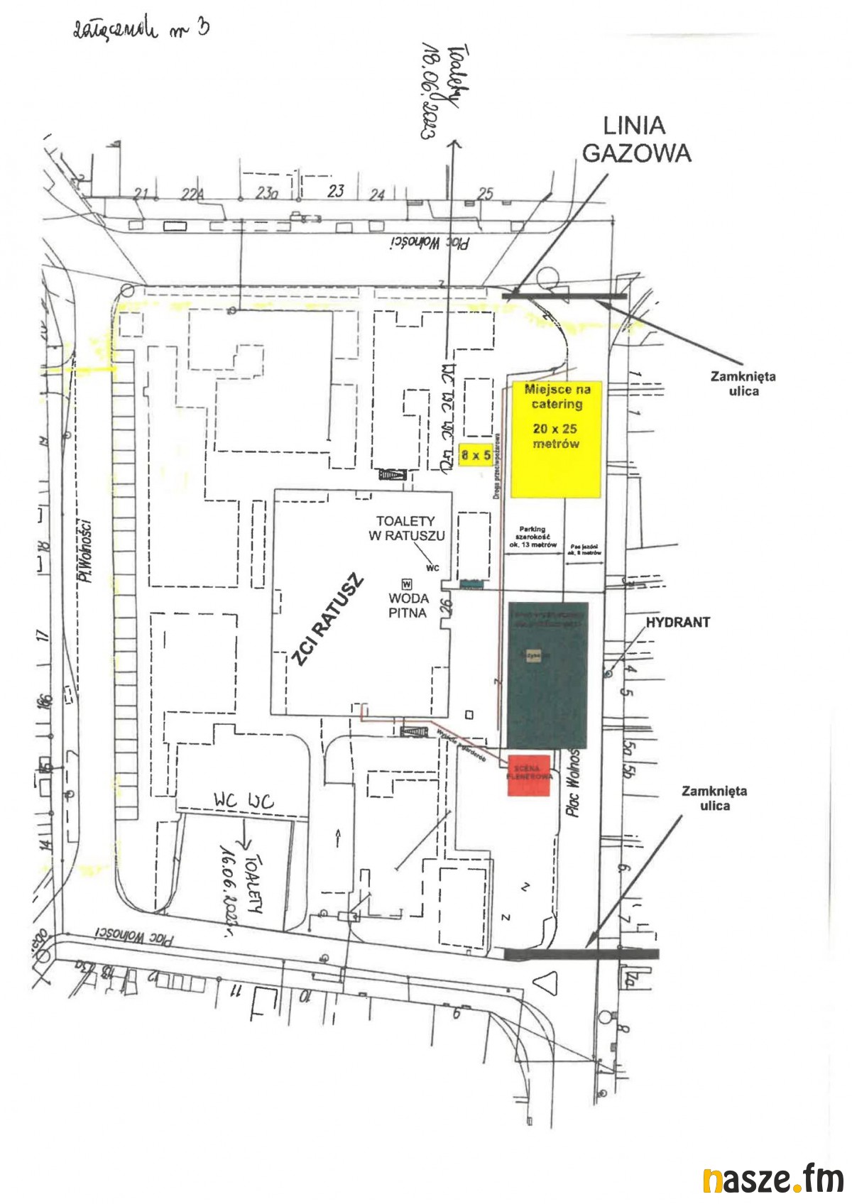
Z kolei w niedzielę, 18 czerwca, będą ograniczenia w ruchu na placu Wolności. Od godz. 6:00 do północy zamknięty będzie południowy odcinek jedni od skrzyżowania z ul. Sieradzką do skrzyżowania z ul. Kościelną.
Poniżej publikujemy mapki ze zmianami w organizacji ruchu.
Więcej informacji
XXXVII Igrzyska Sieradzkich Przedszkolaków
Dzisiaj, 06:10:43
W hali Zespołu Szkół Katolickich w Sieradzu w minioną sobotę, 13 grudnia, odbyły się XXXVII Igrzyska Sportowo-Rekreacyjne Sieradzkich Przedszkolaków. W imprezie wzięło udział 11 sieradzkich przedszkoli.
XVIII Sieradzki Jarmark Adwentowy
Wczoraj, 20:38:04
Sieradzki Jarmark w tym roku trwał cały weekend. W sobotę można było kupić lokalne produkty a także posłuchac koncertu Sieradz Śpiewa Razem. Z kolei w niedzielę była oficjalna część artystyczna na rynku.
III Warcki Jarmark Bożonarodzeniowy
Wczoraj, 20:20:18
Za nami wydarzenie pełne świątecznych atrakcji, lokalnych smaków oraz artystycznych występów. Na Placu Klasztornym w Warcie po raz 3 zorganizowano Jarmark Bożonarodzeniowy. Były występy, lokalne przysmaki, choinki a także spotkanie ze Świętym Mikołajem
